丁香园临床病例数据库
证书编号:0
您的案例《【专题讨论】宠物影像(超声,X线)诊断(热力组织讨论中……)》 经同行评议,被丁香园临床病例数据库收录。
收录时间 Invalid date

这个帖子发布于 18 年零 41 天前,其中的信息可能已发生改变或有所发展。
推荐
斑竹您好,如题,希望我们兽医有个自己的影象诊断版块,这样大家也能多多交流学习.....
大家知道,影象诊断在宠物的疾病诊断中相当重要,中农,南农,川农,河南农业大学等高校都有一套自己的影象诊断,,但其他医院就没有了...最重要的原因是目前兽医类高校很多都没有这方面的老师,就更不用说有这方面 的专业知识了.....但象怀孕期疾病,骨折,肿瘤等的诊断等的准确诊断又要依赖于影象诊断,故提高影象诊断技术迫在眉急....
所以诚请各位专家能支持建立此版块来提高我国兽医影象诊断技术.同时我们作为临床的学生也能充实自己的专业知识...................
强烈要求中农的林德贵老师,董悦农,河南农业大学的邓立新老师加盟此版块....................
希望大家支持!!!!!!!!!!!!!!!!!!!!!!!!!!!!!!!!!!!!!!!!!!!!!!!!!!!!!!!!!!!!!!!!!
vetchj 最后编辑于 2022-10-09浏览 5.5万
UniTMA Quick-ray手动式组织芯片制备仪
热度最新

建议丁香园关闭此版,原因就不用多说了吧,为了体现我们对人的尊重!讨论畜生还是专门开办一个论坛为好。
心肌缺血动物模型制备

本人从人医影像专业转行而来,在几年的宠物医院积累了一些些,有关设备的基本使用,摄片体位的设计,X光片的片号码摆法,X光片的阅读,B超的手法,扫查,诊断,心电图的作法,心电的判读,等等,在全国宠物医学界中,能很好地掌握者还真不多。宠物的影但像诊断与人体大同小异,有共同点也有不同点,如很多中小型犬和平片能观察到膀胱,而人如果在不造影情况下是看不到膀胱的,很多犬猫能在不造影的情况下从平片中观察到结石,这是因为小型犬厚度小,天然对比好的原因。关于犬急腹症,怎样才能很好地显示出肠道梗阻的液气平,腹腔内的游离积气,这时体位的设计显得很重要...本人也在不断地探索中,希望能与更多老师同仁共探讨共进步,提高我国的宠物医学水平。
教学芯片-组织学总论

子宫摘除:犬妊娠30天.
仅专业人士可见

此回帖已被删除
dew488: 我对谢富强教授的X线诊断技术非常感兴趣,请告知我邮箱密码。谢谢!
建议您组织对该X诊断技术PPT的系统学习,在线性的,在此跟帖为主,每张系统讲解。单纯的共享资源似乎对于广大非专业战友没有太大的意义。谢谢,而目前,我们对热心的专题组织者的奖励,仅是这虚拟而微薄的分数,望见谅。

我看大家这么爱学,我发些我的导师邓立新老师的资料
五、狗猫妊娠的超声诊断.doc (9.67 MB)

请大家看看这组图片:2


vetchj wrote:
完全可以制作成电子书籍,征集一下感兴趣的战友加盟
一般要求:配文字说明(中英文),越详细越好
格式要求:PPT、PDF、DOC均可
奖励:3分-5分
呵呵,,,这个我赞成,我算一个!但就是现在技术还不会....因为没有做过电子书,,呵呵,,,现在开始学:[url]http://www.dxy.cn/bbs/post/view?bid=89&id=7181562&sty=1&tpg=1&age=0
[/url]

我就是学影象的!B超,X线!
可是我要做疫苗,附红细胞体的
有没有人指导我一下,我完全不懂!
要是这样的话,我可以把我的影象资料全部上传!
谢谢师兄!
附红细胞体什么方面的资料?本版应该有人从事这样的研究的。你search一下。提前感谢您能慷慨奉献自己的影象资料。



小肠管腔充气扩张


哈哈,,谢谢斑竹将这个贴设为精华帖.我以后会努力的建设此版块
唉,又是我这个不怎么会的硬着头皮来吧。
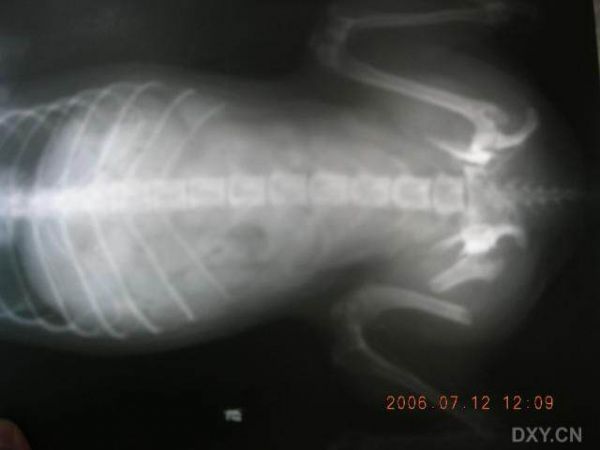
尾锥第一节的地方粉碎性骨折?还是脱臼?
右耻骨和坐骨闭合性骨折;左髂骨···?不会说,位置改变了,但是不知道是因为耻骨联合的地方骨折了引起的还是什么东西我看不出来?
呵呵,乱来的。
治疗应该很难吧,不是有钱就能做到的阿。
这种片子应该一个侧位,一个正位的,一个侧位片很难准确全面判断尤其手术前更应该全面检查确定。

邓立新老师是我本科时候的老师,我可以联系一下。我现在学外科,挺喜欢影响学,但现在的导师不搞这方面。挺遗憾。
此回帖已被删除
杨老师上课蛮幽默的,应该还记得我吧,:I现在在国内么?很久没回南农了

楼主是搞外科的吧。我十分同意你的诊断和处理方法。但是如若犬只是一般土种犬,可能治疗成本会显得太贵,应该有更好处理方法哦。
你是不是想外固定?简直门都没有,我觉得也就下肢骨折外固定还可行,上肢和躯干骨折搞外固定根本不可能,这些部位肌肉很多,另外动物哪像人,行动不受限制。这种情况,只能内固定吧。不知道还能有什么更好的方法。讨论的是技术,不是成本,要是考虑成本的话,把它扔了更划算,它连个钢板钱都不值。

呵呵,,发了两组图都没有人来评论,太令人失望了......
很感谢您的精彩评点和好的提议,用一句话表达这些专业讨论:take it easy.
完全可以制作成电子书籍,征集一下感兴趣的战友加盟:P一般要求:配文字说明(中英文),越详细越好格式要求:PPT、PDF、DOC均可奖励:3分-5分
谢谢您的图片。
先来打个头阵--右股骨封闭性骨折。
治疗我不在行了,呵呵,打骨钉固定吧。

基本资料:车祸,后躯不能站立
X片如下:正位图(由于我没有X光机,片子在人医那照的,相机不好,照的较模糊,但能看见病变部位)大家描述出病变部位和治疗方案

相关知识
瑞沃德宠物牙科X线摄影系统,让诊断更高效
犬猫肝脏疾病的超声临床表现
第三方兽医影像诊断中心在宠物诊疗过程中的重要作用
犬肝脏超声探查技术及其在肝脏疾病诊断中的初步应用
我国宠物医学影像行业产业链分析 宠物医学影像设备正逐渐走向国产化
特色学科
行为心理学在宠物临床诊疗中的应用
农村养殖中宠物犬的社会化训练要点
超声技术在宠物医疗中的应用.docx
宠物临床诊疗技术
网址: 【专题讨论】宠物影像(超声,X线)诊断(热力组织讨论中……) https://m.mcbbbk.com/newsview61621.html
| 上一篇: 2018亚宠展:新消费时代,宠物 |
下一篇: 现货出售宠物实验室动物垫料白杨木 |